Eksemplar
GIT 180-691




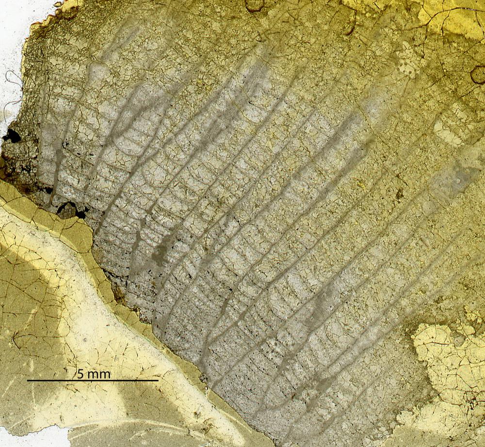
| Kollektsiooni nr. | GIT 180 |
| Number | 180-691 |
| Tüüp | tervik |
| Rühm | tabulaadid |
| Lokaliteet | Loode pank |
| Stratigraafia | Ohesaare lade |
| Kogumise aeg | 1959 |
| Koguja | Eksp. |
| Asutus | TalTech geoloogia instituut |
Sirvi e-Maapõues
See lehekülg kasutab Matomo, et analüüsida liiklust ja aidata meil lehekülje kasutajakogemust parandada. Me töötleme teie IP aadressi, vaadatud lehti, laadimisaegu ja seadme informatsiooni. Neid andmeid töötleme ainult meie.


